釣果情報

3月26日 メバル船 釣果

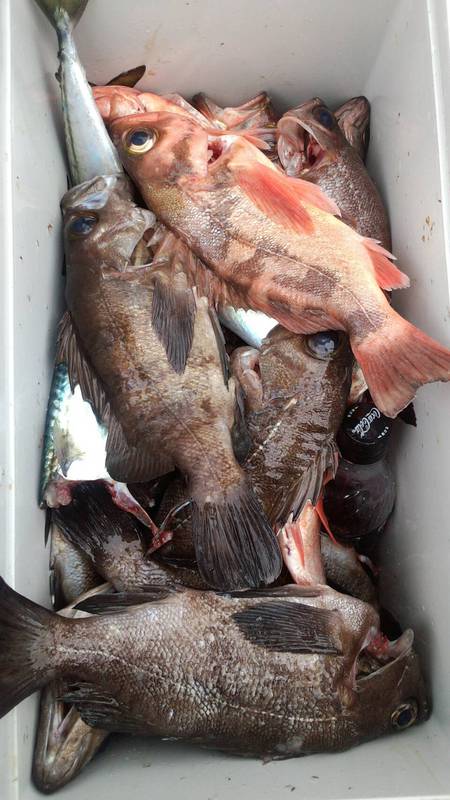
  • 3月26日 メバル船 釣果
2017/03/26

鹿嶋沖 30分

水深  30m前後

(水温 12℃)

(水色 薄濁り)

 

メバル★9~30パイ

15~33cm

 

昨日に引き続き

好調でした。

 

 

 

 

 

 

back

お問い合わせ・ご予約はこちら090-4067-8661 MAIL FORM

Information

宗和丸(そうかつまる)
〒314-0012
茨城県鹿嶋市平井2287

初心者の方も大歓迎!大人から子供まで男女問わずにお楽しみいただけます。鹿嶋市で釣り船をお探しの方は【宗和丸】にお任せ下さい。お問い合わせお待ちしております。

  • tel:090-4067-8661
  • MAIL FORM

ページの先頭へ